E Grant LOT 5 Street, Maryville, MO 64468

Mortgage Calculator

$25,000
 est. $97/mo

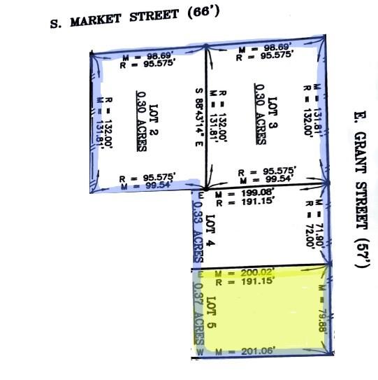
Prime Development Opportunity - Four Separate Lots Available! Unlock the potential of this .37-acre property located in Maryville MO. This land totals 1.37 acres and is being offered in four separate lots and can be bought as a package deal or separately making it an ideal opportunity for developers and individuals alike. The property is level, easily accessible and just minutes from shopping, dining and entertainment options. With its proximity to amenities and the college, this land offers excellent possibilities for single family homes or duplexes - a versatile foundation for your next project! Don't miss out on this opportunity!

Directions
Corner of E Grant St & S Market St
Subdivision
Other
City
Maryville
County
Nodaway
Property Type
Land / Unimproved Land
Listing Updated
Mar 25, 2026 at 2:03pm
MLS Number
2609307
Property Tax
$36
Zoning
$R2
Home Owners Association
No
Disclaimer
The information displayed on this page is confidential, proprietary, and copyrighted information of Heartland Multiple Listing Service, Inc. (“Heartland MLS”). Copyright 2026, Heartland Multiple Listing Service, Inc. Heartland MLS, Elite Realty and Agent Jo do not make any warranty or representation concerning the timeliness or accuracy of the information displayed herein. In consideration for the receipt of the information on this page, the recipient agrees to use the information solely for the private non-commercial purpose of identifying a property in which the recipient has a good faith interest in acquiring.
The data relating to real estate displayed on this website comes in part from the Heartland Multiple Listing Service database compilation. The properties displayed on this website may not be all of the properties in the Heartland MLS database compilation, or all of the properties listed with other brokers participating in the Heartland MLS IDX program. Detailed information about the properties displayed on this website includes the name of the listing company.
Information is deemed reliable but is not guaranteed.

Copyright © 2026 ELITE Realty.