812 S Main Street, Warrensburg, MO 64093

Mortgage Calculator

$799,900
 est. $3,048/mo

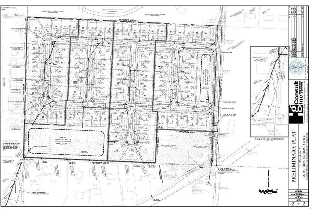
PRIME DEVELOPMENT LAND! 27.25 Acres In the City Limits of Warrensburg - Preliminary Plat and Phase 1 Have Been Approved by the City Already - Plans Available For Anyone Interested in Using Them - Current Plans Account for 86 Single Family Homes OR Set Your Dream Home on This Park-Like Serene Property and Watch the Wildlife Roam - Location is Ideal Nearby Schools, Shopping, Lions Lake, and the Local Public Golf Course. Agent/Owner

Directions
From Maguire and DD Hwy/Hale Lake Rd: West on Hale Lake Rd to Main St, Right/North on Main Street to Property on Right.
Subdivision
Other
City
Warrensburg
County
Johnson, MO
Property Type
Land / Unimproved Land
Listing Updated
Jan 19, 2026 at 12:01pm
MLS Number
2597062
Property Tax
$532
Zoning
$Yes
Home Owners Association
No
Disclaimer
The information displayed on this page is confidential, proprietary, and copyrighted information of Heartland Multiple Listing Service, Inc. (“Heartland MLS”). Copyright 2026, Heartland Multiple Listing Service, Inc. Heartland MLS, Elite Realty and Agent Jo do not make any warranty or representation concerning the timeliness or accuracy of the information displayed herein. In consideration for the receipt of the information on this page, the recipient agrees to use the information solely for the private non-commercial purpose of identifying a property in which the recipient has a good faith interest in acquiring.
The data relating to real estate displayed on this website comes in part from the Heartland Multiple Listing Service database compilation. The properties displayed on this website may not be all of the properties in the Heartland MLS database compilation, or all of the properties listed with other brokers participating in the Heartland MLS IDX program. Detailed information about the properties displayed on this website includes the name of the listing company.
Information is deemed reliable but is not guaranteed.

Copyright © 2026 ELITE Realty.